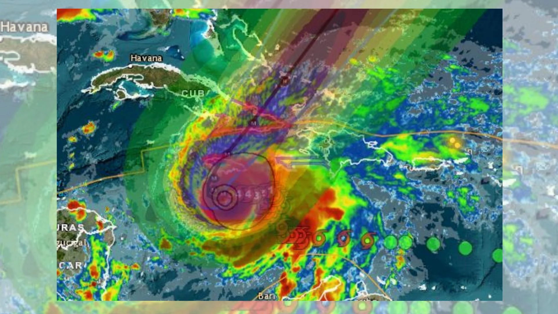
Redacción.- Las autoridades de Jamaica trabajan este domingo para mover a la mayor cantidad de personas posible hacia refugios, ante las inundaciones catastróficas que se esperan por el huracán Melissa esta semana.
En zonas como Port Royal, cerca de Kingston, muchos residentes han ignorado las advertencias de las autoridades y se resisten a abandonar sus hogares. Para facilitar los traslados, el Gobierno ha puesto a disposición la Compañía de Transporte Urbano de Jamaica, que lleva a los ciudadanos a los 881 refugios habilitados en el país.
Entre los pocos que aceptaron trasladarse, se encuentra Margaret Parkes, de 62 años, quien decidió ir a un refugio debido a sus problemas de ataques de pánico, según declaró a medios locales.


