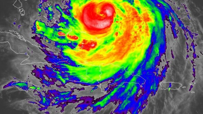
Santo Domingo.- Las bandas nubosas asociadas al poderoso huracán Erin, de categoría 4, continúan afectando de forma indirecta al territorio dominicano, generando aguaceros moderados a fuertes, tormentas eléctricas y ráfagas de viento en varias zonas del país.
Según el Boletín de Advertencia No. 25 emitido por la Oficina Nacional de Meteorología (ONAMET), se han registrado lluvias significativas en distintos puntos, siendo Oviedo (Pedernales) una de las localidades más afectadas, con un acumulado de 128 milímetros. En Cabrera (María Trinidad Sánchez) se han reportado 84.6 milímetros, mientras que en Enriquillo (Barahona) también se han registrado precipitaciones considerables.
Los modelos meteorológicos indican que las lluvias continuarán en las próximas 24 a 48 horas, con acumulados estimados entre 40 y 60 milímetros, pudiendo ser superiores en áreas aisladas.
Además de las lluvias, las autoridades mantienen el llamado de precaución por el oleaje peligroso en ambas costas del país, debido a los efectos indirectos del huracán.
La ONAMET recomienda a la población estar atenta a los próximos boletines y seguir las orientaciones de los organismos de protección civil, especialmente en zonas vulnerables a inundaciones y deslizamientos de tierra.


